MSC
Il liner elvetico ha rivisto i prezzi del trasporto di box, scali italiani più cari del 42,5% rispetto a quelli…
Spedizioni
5 Gennaio 2026
Cresce la complessità operativa delle crociere globali, che diventano un banco di prova per le compagnie. Msc Magnifica affronterà un…
Navi
5 Gennaio 2026
La perdita nell’ultimo esercizio già contabilizzato è stata di quasi 720 milioni, mentre nel 2023 il maxi-utile era stato di…
Economia
4 Gennaio 2026
Al terminal container automatizzato di Qingdao entra in servizio il primo sistema cinese di ormeggio automatico a vuoto. L’operazione avviene…
Porti
3 Gennaio 2026
Il vettore francese rafforza la posizione nel breve raggio mentre Msc conserva il primato e Maersk avanza; capacità complessiva in…
Market report
3 Gennaio 2026
Durante la conferenza finale di H2Ports è stato presentato anche il prototipo di reachstacker testato presso Msc Valencia Terminal
Porti
30 Dicembre 2025
Il patron Gianluigi Aponte nei giorni scorsi in visita nella struttura che ospiterà alcuni uffici tecnici del gruppo
Navi
24 Dicembre 2025
Il Tar del Lazio non ha accolto l'istanza cautelare richiesta da Grimaldi per il rischio di alterazione 'strutturale' e 'irreversibile'…
Navi
20 Dicembre 2025
Sconfitto il raggruppamento composto da Msc e Contship. Aggiudicazione prevista entro giugno 2026
Porti
18 Dicembre 2025
L'impresa ferroviaria ha trazionato interamente un convoglio tra il porto di Trieste e Linz
Porti
18 Dicembre 2025
L'offerta del gruppo di Aponte (smentita da Ginevra) rispetto a quella tedesca avrebbe dalla sua il non coinvolgimento di interessi…
Aggiornato
16 Dicembre 2025
Nei giorni scorsi l'impresa ferroviaria ha anche finalizzato l'accordo per la costituzione in Spagna di una joint venture con Renfe…
Economia
16 Dicembre 2025
Consegne previste a partire dal 2030 per la nuova classe ribattezzata "New Frontier" da 5.400 passeggeri e circa 180.000 tonnellate…
Cantieri
15 Dicembre 2025
In programma per lunedì una conferenza stampa nella quale dovrebbe essere rivelata una commessa per quattro new building che garantiranno…
Cantieri
12 Dicembre 2025
La joint venture ferroviaria acquisirà dall'operatore statale spagnolo i servizi di trasporto siderurgico, intermodale e "multiprodotto"
Spedizioni
8 Dicembre 2025
Il registro norvegse ha riconosciuto l'Approval in Principle all'unità da 21.700 Teu progettata con un consorzio di costruttori cinesi
Navi
6 Dicembre 2025
Oltre all'a.d., anche Maersk e Msc si sono dette interessate all'affare ma i dipednenti non vogliono che la shipping company…
AGGIORNATO
4 Dicembre 2025
Moby Aki e Moby Wonder rimarranno nella disponiblità della 'balena blu' in lease back mentre Athara, Janas e Moby Ale…
Navi
3 Dicembre 2025
Politica&Associazioni
3 Dicembre 2025
Da Bruxelles ok alla nascita di una nuova impresa con base in Kenya attiva nelle operazioni marittime e aeree
Spedizioni
2 Dicembre 2025
Nell'ambito dell'acquisizione di CK Hutchison l'Europa teme l'eccessiva concentrazione se, oltre a Valencia, anche il terminal container di Barcellona finisse…
Porti
27 Novembre 2025
La novità sarà introdotta nel network di Medlog dal prossimo 1 dicembre
Spedizioni
20 Novembre 2025
L'Antitrust chiede all'Adsp di ripubblicare l'istanza di concessione fissando contestualmente un nuovo adeguato termine per la presentazione di domande concorrenti,…
Porti
17 Novembre 2025
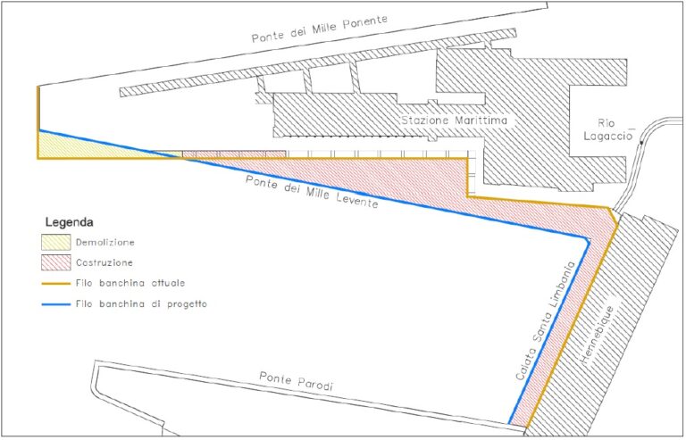
Tre anni di ritardo e almeno 600mila crocieristi perduti per l’appalto che rischia di superare il 50% di extracosto: Stazioni…
Porti
17 Novembre 2025
Attenzione: errori di
compilazione
Indirizzo email non valido
Indirizzo email già
iscritto
Occorre accettare il
consenso
Errore durante
l'iscrizione
Iscrizione effettuata






















